口腔
咽喉の異物
種類:アメリカンショートヘアー/性別:雌/年齢:10歳
前日に骨付きのスズキを食べていてその後に嘔吐をするようになる。
何度も嘔吐を続け、ヨダレが出ていた。
他院にてレントゲン検査の結果、胃、食道に異物はないと診断される。
しかしその後も嘔吐が止まらないため当院に来院した。
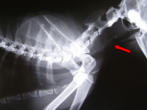
頸部のレントゲン検査の結果、咽頭から頸部食道にかけて骨らしい異物が見られた。
魚の骨が咽頭部に引っかかっていると診断し、麻酔をして長い手術器具を用いて魚の骨を除去した。
鯛やスズキなど大きな骨のある魚はこのように咽頭や食道に引っかかったり詰まったりすることがあるので注意しましょう。
激しく嘔吐したり、ヨダレがひどく出ているときは要注意です。
